LOADING

49 Vanier Street West Nipissing (Sturgeon Falls), Ontario P2B 0C8

Interested?

Contact us for more information


Generating Captcha

Michael Page
Broker of Record


Page & Associates Realty, Brokerage
59 Front Street
Sturgeon Falls, Ontario P2B 2G8

Shawn Page
Broker


Page & Associates Realty, Brokerage
59 Front Street
Sturgeon Falls, Ontario P2B 2G8

Your Favourites

 

No Favourites Found

 

$99,900

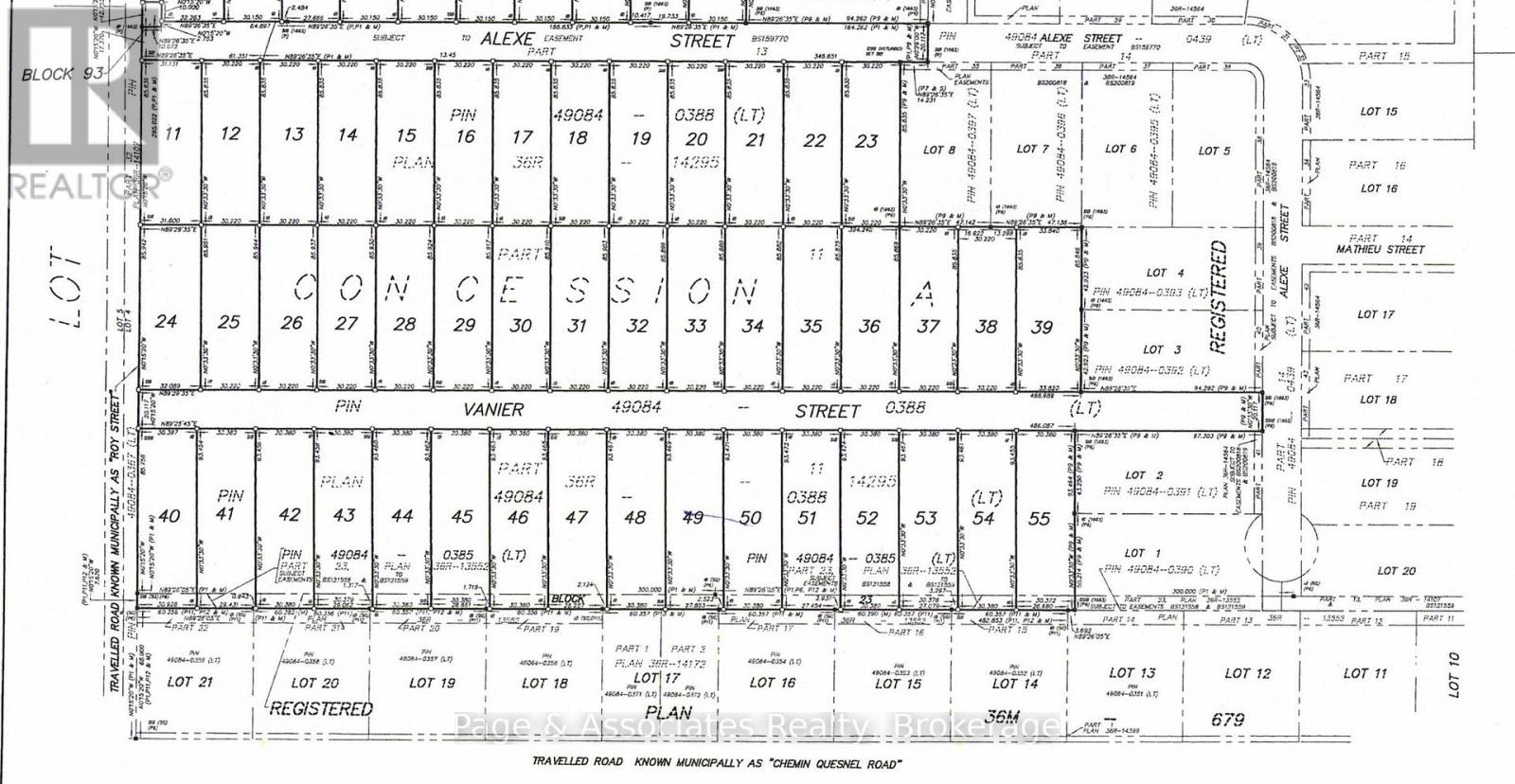
49 Vanier Street (Sturgeon Falls) - Now presenting a fantastic opportunity to build your dream home or invest in land in a newly developed subdivision. This spacious lot includes double serviced municipal water and sewer allowing for semi-detached construction, along with natural gas available. Zoned R2, the property allows for versatile building options including duplexes, modular homes, or single-family residences perfect for growing families or those looking to retire in comfort. The subdivision is registered, closings any time. Visitors are welcome to drive on the road to see the well-marked lots to explore the neighbourhood. Don't miss your chance to be part of this promising and thoughtfully planned community in Sturgeon Falls. Listed at $99,900 + HST. (id:58987)

Property Details

MLS® Number X12489846
Property Type Vacant Land
Community Name Sturgeon Falls
Easement Other, Easement, Sub Division Covenants

Building

UtilityWater Municipal Water

Land

AccessType Year-round Access
Acreage No
Sewer Septic System
SizeDepth 279 Ft ,3 In
SizeFrontage 94 Ft ,6 In
SizeIrregular 94.56 X 279.31 Ft
SizeTotalText 94.56 X 279.31 Ft|1/2 - 1.99 Acres
ZoningDescription R2

Utilities

Cable Available
Electricity Available
Sewer Available

https://www.realtor.ca/real-estate/29047158/49-vanier-street-west-nipissing-sturgeon-falls-sturgeon-falls